조황관리HOME / 조황관리 / 상세정보

제목 : 주간>연도권 타이라바 낚시 <야간>다잡아 낚시 밤볼락 열기 는 오늘 부터 출항
등록일 : 2026-02-27
























주간  안도 연도 작도(중 내만)타이라바
야간  다잡아(밤볼락)낚시 시작합니다!!

27일 금요일(
오늘) 오후 5시~6시 출항 ~ 새벽 1시~2시 까지
야간
다잡아 낚시 출항확정

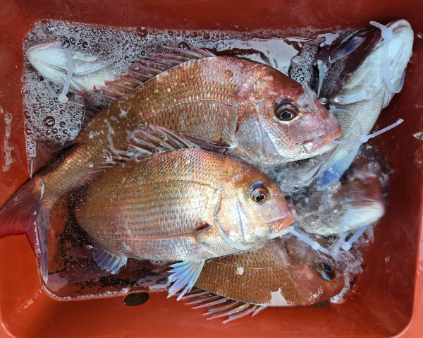
 "위 조황 사진은 저번주 먼바다 타이라바 사진 입니다"

⚠️⚠️백호 타이라바 출항 일정⚠️⚠️

●27일 금요일~안도.연도.작도 참돔 타이라바(새벽6시 출항~오후5시 입항) (거문도.백도) 황금물때(자리여유)도시락.라면.과자.오뎅탕.코카콜라
●28일 토요일~안도.연도.작도 참돔 타이라바(새벽6시 출항~오후5시 입항) (거문도.백도) 황금물때(자리여유)도시락.라면.과자.오뎅탕.코카콜라
●1일 일요일~안도.연도.작도 참돔 타이라바(새벽6시 출항~오후5시 입항) (거문도.백도) 황금물때(자리여유)도시락.라면.과자.오뎅탕.코카콜라
●2일 월요일~안도.연도.작도 참돔 타이라바(새벽6시 출항~오후5시 입항) (거문도.백도) 황금물때(자리여유)도시락.라면.과자.오뎅탕.코카콜라
●3일 화요일~거문도 먼바다 참돔 타이라바(새벽6시 출항~오후7시 입항) (거문도.백도) 황금물때(자리여유)도시락.라면.과자.오뎅탕.코카콜라


⚠️⚠️야간 다잡아(볼락,열기)출항 일정⚠️⚠️

♻️26일 목요일 ~ 야간 다잡아)안도,연도 출힝 (저녁 6시~7시 출항 하여 새벽 2시 3시에 철수) 
♻️27일 금요일 ~ 야간 다잡아)안도,연도 출힝 (저녁 6시~7시 출항 하여 새벽 2시 3시에 철수) 
♻️28일 토요일 ~ 야간 다잡아)안도,연도 출힝 (저녁 6시~7시 출항 하여 새벽 2시 3시에 철수) 
♻️1일 일요일  ~ 야간 다잡아)안도,연도 출힝 (저녁 6시~7시 출항 하여 새벽 2시 3시에 철수)
♻️2일 월요일  ~ 야간 다잡아)안도,연도 출힝 (저녁 6시~7시 출항 하여 새벽 2시 3시에 철수) 


***주의:출항 시간은 물때와 문어 나오는 시간에 따라 변경 될 수 있음을 고지 합니다.

항에 들어 오기 전에
사무장님이 피 빼서 아이스 박스에 담아 드립니다.
그러므로 도착해서 드시면 육질의 식감이 좋습니다.

여수 백호호 밴드에 최근 동영상 조황 있습니다
거문도 20년 경력의 임실장이 직접 자선장 으로 운행 합니다.
올해들어 최고의 날씨 이며
바람 도 없고 물때도 최고 입니다.
(백호는 자선장이 직접 운항 합니다)
백호밴드 들어 오시면 오늘 동영상 볼거리 많이 올려 놨습니다.

⚠️타이라바 개인 준비물품⚠️


♻️120g 헤드 5개
♻️150g 헤드 5개
♻️180g또는 200g헤드 4개(사리 물때 제외 150g ~180g 헤드 가장 많이 사용)
다 떨어져도 걱정 마세여 배에 있어요
 
*베이트릴 5점대.6점대 필요 합니다.(5점대 릴 가장 많이 선호)
*타이 컬러의 기본 색상은 (빨간,보라,초록,주황)
*합사 원줄은 0.8~1호 사용 하시면 됩니다.
*쇼크리더는 3호.4호.5호 (카본 또는 후로로카본)(싸게 사실 분 민물 옥내림 줄 사용)
*로드는 타이라바 전용로드나 L로드나 ML로드 사용
*개인 아이스박스나 라이프바칸 준비 바랍니다.

외수질 낚시 개인 준비물품

*평균40호50호 및 먼바다 갈때는 60봉돌 한봉지 정도 필요 합니다. (사리 물때 제외 50봉돌 가장 많이 사용)
*베이트릴 4점대.5점대 필요 합니다.(5점대 릴 가장 많이 선호)
*외수질 채비는 바늘이 22호 를 가장 선호 합니다(20호~23호)
*합사 원줄은 2호~3호 사용 하시면 됩니다.
*로드는 문어 로드 또는 외수질 전용로드나 MH로드나 H로드 HH로드 사용
*개인 아이스박스나 라이프바칸 준비 바랍니다.


생활낚시 전문

여수 백호피싱  010 4668 1693



=== 여수항 백호호 예약안내 ===

예약문의 : 010-8501-0105

오시는길 : 전남 여수시 소호1길  60-5

홈페이지 : http://wt.sunsang24.com/


모바일.gif 

Top